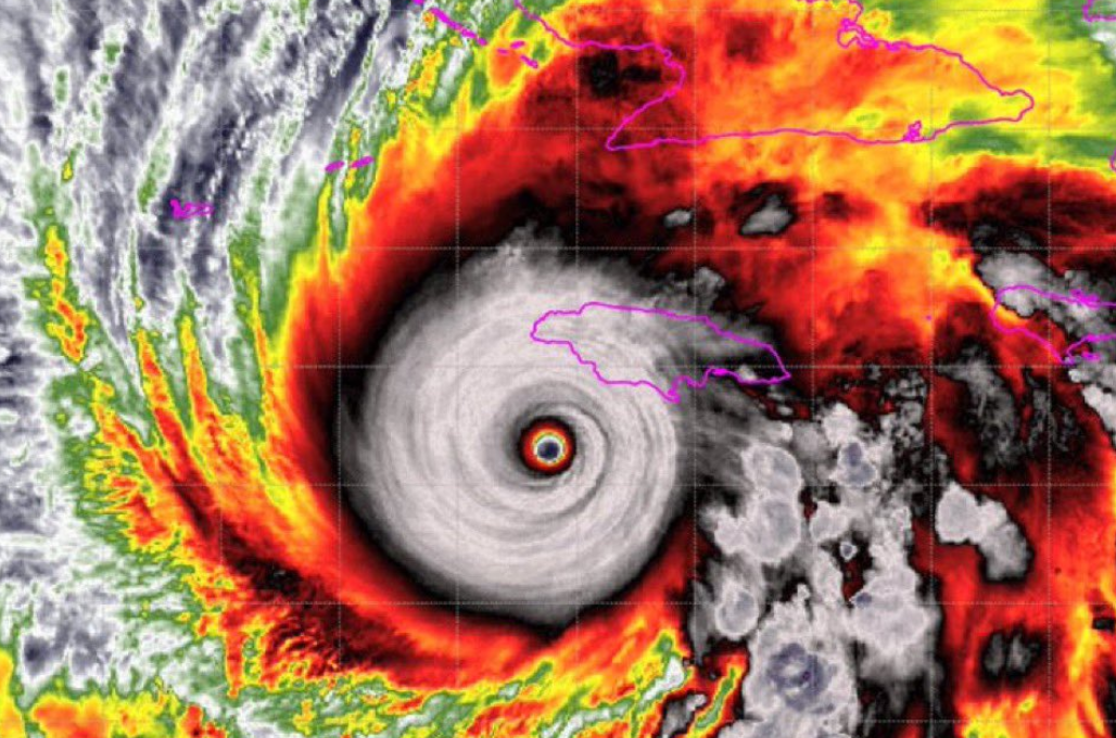
Αδιανόητο! Στα 892mb ο τυφώνας Μελίσσα, στο Top 3 στην ιστορία (vid)
Ενισχύεται περαιτέρω ο τυφώνας Μελίσσα, φτάνοντας στο κέντρο του τα 896mb, κάτι που τον καθιστά ως έναν από τους τρεις ισχυρότερους που έχουν ποτέ καταγραφεί.
Το μάτι του, νωρίτερα, έδειξε και πίεση SFC 892MB, κάτι που θα έκανε Μέλισσα ως τον 3ο βαθύτερο τυφώνας στον Ατλαντικό που έχει καταγραφεί και ο βαθύτερος που έχει καταγραφεί ποτέ στην ξηρά.
Αυτή την ώρα η πίεση είναι στα 896mb και τον συνοδεύουν άνεμοι ταχύτητας έως και 180 μιλίων την ώρα, με ό,τι αυτό συνεπάγεται, καθώς τις επόμενες ώρες κάνει landfall με τη μέγιστη ισχύ στη Τζαμάικα. Και ως τυφώνας που βρίσκει στεριά με αυτή την ισχύ, καθίσταται ο πιο ισχυρός που έχει ποτέ καταγραφεί στην ιστορία του Ατλαντικού ωκεανού.
É raro me deixar sem palavras…#Melissa pic.twitter.com/bmKfbUCKh0
— PⱯblo RⱯfⱯel MⱯrtins (@pablomartinsmet) October 28, 2025
Ακολούθησε το dokari.gr στο Google News για όλες τις τελευταίες ειδήσεις