Μελίσσα: Ο τυφώνας – τέρας απειλεί την Τζαμάικα – Αγωνιώδης έκκληση μετεωρολόγου
Ο κυκλώνας Μελίσσα έχει ήδη εξελιχθεί σε τυφώνα κατηγορίας 4 και τις επόμενες ώρες αναμένουν οι μετεωρολόγοι να φτάσει και την ανώτερη ισχύ, κατηγορίας 5, περνώντας πάνω από την Τζαμάικα, την Αϊτή και την Κούβα.
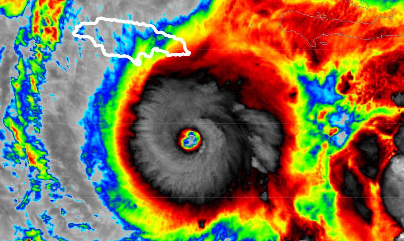
Η Μέλισσα στην Καραϊβική έχει γίνει ήδη τυφώνας κατηγορίας 4 και θα μπορούσε να φτάσει σε κορυφή ως κατηγορία 5, το μέγιστο δυνατό, σε συνδυασμό με το πέρασμα στην Τζαμάικα. Έχουν ενημερωθεί όλοι οι επισκέπτες να εκκενώσουν την περιοχή.
Είναι χαρακτηριστικό το μήνυμα αγωνίας που στέλνει ο μετεωρολόγος του Νόα Μπεργκρεν, μετεωρολόγου του Fox News, ο οποίος γράφει στο Twitter.
«ΟΥΑΟΥ, απίστευτο. Ο χειρότερος φόβος μου γίνεται πραγματικότητα. Αυτός θα είναι ένας ιστορικός και θανατηφόρος τυφώνας για την Τζαμάικα. Μια από τις χειρότερες φυσικές καταστροφές από τυφώνα εδώ και πολύ καιρό. Προσεύχομαι οι άνθρωποι στο νησί να λάβουν σοβαρά υπόψη τις προειδοποιήσεις. Μέλισσα πρόκειται να αμφισβητήσει το μαθηματικό όριο έντασης μέχρι τη Δευτέρα.
Υπάρχουν πραγματικοί άνθρωποι στην άλλη άκρη αυτού. Πέρα από όλη τη μετεωρολογία, ας θυμηθούμε ότι οι ζωές των ανθρώπων, οι επιχειρήσεις, τα σχολεία και πολλά άλλα θα επηρεαστούν με ακραίους τρόπους.
Η Τζαμάικα θα χρειαστεί κάθε κομμάτι ανθρωπιστικής βοήθειας μετά από αυτό που μπορεί να πάρει.
Είναι στο ίδιο επίπεδο ή και υπεραποδίδει τις προβλέψεις έντασης. Το μάτι έχει εμφανιστεί σε δορυφόρο από αυτήν την ανάρτηση και αυτός θα είναι ο 1ος τυφώνας κατηγορίας 5 στη γνωστή ιστορία που θα χτυπήσει την Τζαμάικα. Ενώ υπάρχει ένα μαθηματικό όριο στο πόσο έντονη μπορεί να γίνει αυτή η καταιγίδα, το μόνο πράγμα που περιορίζει την έντασή της είναι ο εαυτός της. Δηλαδή, εσωτερικές διεργασίες κύκλων αντικατάστασης του ματιού ή άλλα μετεωρολογικά φαινόμενα τυφώνων υψηλού επιπέδου.
Παρατεταμένοι άνεμοι 170+ και ριπές 200+ MPH είναι δυνατοί στο μέγιστο εάν συνεχιστεί με αυτόν τον ρυθμό.
Η υψηλότερη σταθερή ταχύτητα ανέμου που έχει καταγραφεί ποτέ στη λεκάνη του Ατλαντικού ήταν 190 MPH από τον τυφώνα Allen το 1980».
The eye is almost cleared out…wow#Melissa pic.twitter.com/i9a5LytBIk
— StormHQ ☈ (@StormHQwx) October 26, 2025
Just landed in #Jamaica for coverage of #Melissa. Tune into @foxweather over the coming days & once again, FW is the leader in ground coverage for all weather events. #Foxweather #TSMelissa pic.twitter.com/0dVKdxL0WJ
— Robert Ray (@RobertRayWx) October 24, 2025
Ακολούθησε το dokari.gr στο Google News για όλες τις τελευταίες ειδήσεις