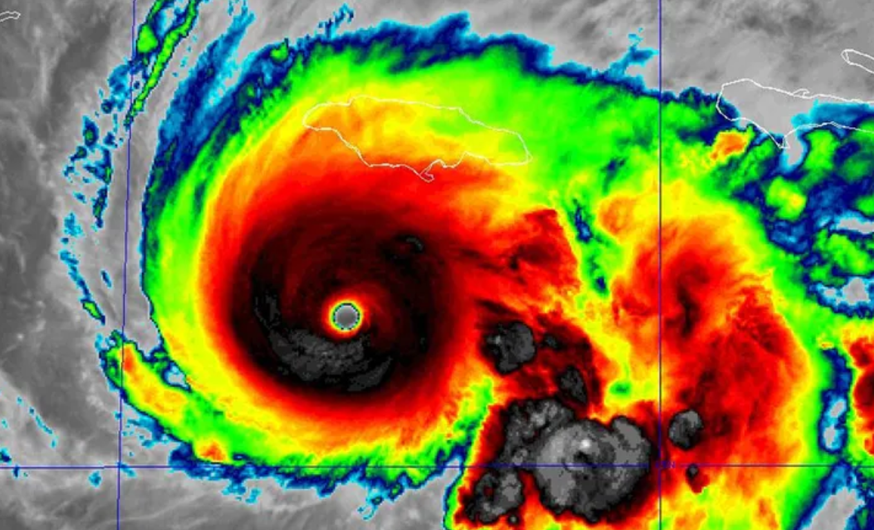
Τυφώνας Μελίσσα: Πήρε τη μέγιστη ισχύ η καταιγίδα – τέρας και κινείται πολύ αργά προς Τζαμάικα (vids)

Με ταχύτητα μόλις τριών μιλίων ανά ώρα, κινείται αργά προς τη Τζαμάικα ο τυφώνας - τέρας, όπως ήδη αποκαλούν τη Μελίσσα, οι μετεωρολόγοι των ΗΠΑ...

Τυφώνας Μελίσσα: Πήρε τη μέγιστη ισχύ η καταιγίδα - τέρας και κινείται πολύ αργά προς Τζαμάικα (vids)

Ο τυφώνας Melissa είναι πλέον μια καταιγίδα κατηγορίας 5, ικανή να δώσει καταστροφικές βροχοπτώσεις, εκτός από τους θυελλώδεις ανέμους που έχει. Η καταιγίδα-τέρας έχει αρχίσει να επηρεάζει την Τζαμάικα, την Κούβα και την Αϊτή και αναμένεται να προκαλέσει απειλητικά για τη ζωή προβλήματα για μέρες κατά τη διάρκεια της αργής κίνησης στην Καραϊβική.

Δείτε Live εικόνα από τη Τζαμάικα, το λιμάνι Κίνγκστον:

Δείτε Live την κίνηση του τυφώνα Μελίσσα προς τη Τζαμάικα: